Verkocht:Stompekamperweg 33D, 6711 BJ Ede - Foto
Verkocht
Verkocht:Stompekamperweg 33D, 6711 BJ Ede - Foto
Verkocht:Stompekamperweg 33D, 6711 BJ Ede - Foto
Verkocht:Stompekamperweg 33D, 6711 BJ Ede - Foto
+4

Stompekamperweg 33D 6711 BJ Ede

  • Parkeergelegenheid
  • 56 m² perceeloppervlakte

Beschrijving

Deze ruime garagebox bevindt zich in Ede en is gebouwd in 1982. Het is een ideale garage voor mensen die op zoek zijn naar een veilige en handige parkeerplaats voor hun auto, motor(en) of bijv. boot. De garage heeft een bruto oppervlakte van 56.00 vierkante meter en biedt voldoende ruimte voor drie auto's.

De garage is voorzien van een handige roldeur die gemakkelijk te bedienen is. Hierdoor kunt u gemakkelijk in en uit rijden zonder veel moeite te hoeven doen.

Als u op zoek bent naar extra opslagruimte, dan is deze garage ook ideaal voor u. Er is voldoende ruimte om spullen op te slaan en de garage is gemakkelijk toegankelijk. Dit maakt het een uitstekende plek om grote items op te slaan die u niet in uw huis wilt hebben.

De garage is ook goed gelegen in Ede. Het is gemakkelijk bereikbaar en er zijn veel voorzieningen in de buurt. Dit maakt het een handige plek om uw auto te parkeren en te gebruiken als een uitvalsbasis voor uw dagelijkse activiteiten.

Al met al is deze garage een geweldige optie voor mensen die op zoek zijn naar een veilige en handige parkeerplaats voor hun auto. Het is goed gelegen en biedt voldoende ruimte voor opslag en parkeren. Als u geïnteresseerd bent, neem dan contact met ons op voor meer informatie.

Bijzonderheden:
Deze garage box is net zo groot als 3 afzonderlijke garage boxen en is ca. 8,8 m breed en 5,7 m diep (binnenzijde).
De (doorrijd) hoogte is ca. 2,24 meter.
In 2020 is het dak vernieuwd (bitumen en houtwerk).
Er is (nog) geen elektra aansluiting in de garage aanwezig, maar de aanvraag is al wel gedaan. Aansluiting zal medio 2025 plaats gaan vinden (ivm wachttijden)
Bouwjaar medio 1982.
Gebruiksopp. binnenzijde ca.: 50 m2.

De garagebox is verhuurd voor E 500,- per maand voor een periode van een jaar maar met optie tot verlenging. Opzegtermijn vanuit eigenaar is twee maanden voor afloop huurperiode.

Kaart

Kenmerken

Overdracht

Referentienummer
00125
Vraagprijs
€ 89.500,- k.k.
Status
Verkocht
Aanvaarding
In overleg
Aangeboden sinds
Woensdag 10 december 2025

Bouw

Type object
Parkeergelegenheid, garagebox
Soort bouw
Bestaande bouw

Oppervlaktes en inhoud

Perceeloppervlakte
56 m²

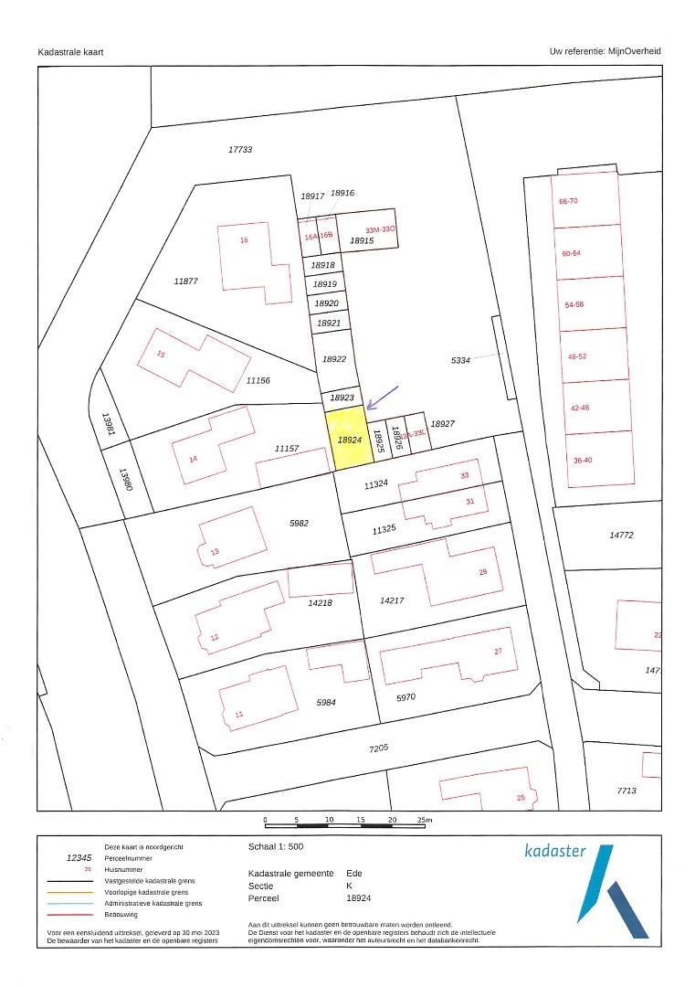
Kadastrale gegevens

Kadastrale aanduiding
Ede K 18924
Perceeloppervlakte
56 m²
Omvang
Geheel perceel
Eigendomsituatie
Eigen grond

Media

Plattegronden

Brochure(s) en overige bijlagen

Brochure Stompekamperweg -garagebox.pdf Download
Wat is jouw huis waard?

Wat is jouw huis waard?

Laat gratis en vrijblijvend de waarde van je woning bepalen.

  • Snel inzicht
  • Geen verplichtingen
  • Persoonlijk advies
Vraag nu je gratis waardebepaling aan!